Renfrew-Collingwood Community News

News stories from the Renfrew-Collingwood community in East Vancouver


Leave a comment

April 2021 issue of RCC News is here

Time to get outside for a dose of exercise, fresh air and vitamin D. Let’s stay connected to your community through the RCC News. Please stay safe while you’re out and about.

Click on the cover image to view the new issue.

In this issue:

  • Get your COVID-19 vaccine at the Italian Cultural Centre
  • Coping with COVID: The Other Guy’s opinion on Bishop Sheen
  • Crime prevention tips to stay safe
  • Seniors care centre recovering from COVID-19 outbreak
  • Pink Shirt Day at St. Mary’s School
  • Easter: The power of resurrection
  • Seniors’ food programs at Collingwood Neighbourhood House

Do you have a local story to tell or an event to share? We’d love to hear about it! Email rccnews-editorial@cnh.bc.ca.

The deadline for the May 2021 issue is April 10.

We welcome story submissions from 300 to 400 words long. Accompanying photos must be high resolution in a jpg file at least 1 MB large and include a photo caption and the name of the photographer.

 


Leave a comment

Collingwood Corner: Collingwood Theatre at 4926 Joyce Street

BY LORETTA HOUBEN

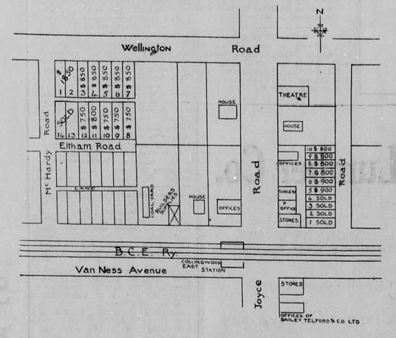
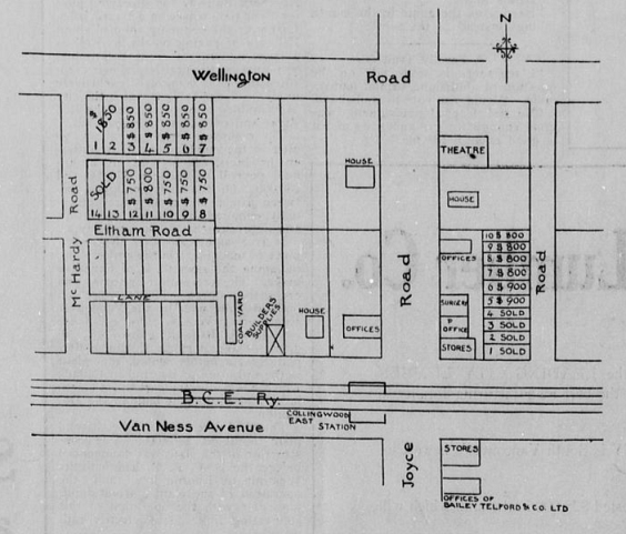
Did you know that a theatre was located at 488, then 4926 Joyce Road, now Joyce Street, from 1914 until 1934, according to the BC Directories? I’ve been researching this mystery for a while and recently located a few clues. One of them was discovered in the Greater Vancouver Chinook newspaper, courtesy of the University of B.C. Archives online (see photo 1).

Photo 1: May 18, 1912. The map shows the location of Collingwood Theatre. Image from UBC Archives online

The second clue was discovered when I placed a photo from the Vancouver archives in my photo editor and enlarged and clarified it, discovering a building that I believe to be the Collingwood Theatre (photo 2). You can’t see it until you zoom in, and I was startled to find it when I’d never noticed it before.

Photo 2: 1913, looking north on Joyce Road. Photo courtesy of Loretta Houben, from Vancouver Archives

The theatre was near Wellington Avenue and Joyce Street, and by looking at another image (photo 3), I have deduced that this picture shows a view of Wellington and Joyce that was taken in 1913 and is from the collection of Mrs. Walter S. Baird, courtesy of the Vancouver Archives. If it weren’t for Mrs. Baird, we wouldn’t have any scenes of Joyce Road from the 1910 era. You can see a house on the left side of the photo that stood beside the theatre. I assume it was built in 1913 as it appears in the 1913 photo, and it appears in the directories the following year.

Photo 3: 1913 Joyce Road. Photo from Vancouver Archives

The Collingwood Theatre is mentioned rarely in newspapers of the time. It was managed by Cecil R. Hall, who lived on Aberdeen Street, as shown in the 1930 directory. However, by 1932 the theatre was no longer operating, according to the directory. Cecil Hall had moved to North Vancouver and became the operator of the Lonsdale Theatre.

The property on which the Collingwood Theatre once operated for 19 years is now for sale for a hefty price. Things are always changing in Collingwood!

Loretta Houben enjoys solving mysteries in the Collingwood area, where she has lived for 55 years.

Copyright 2021 Renfrew-Collingwood Community News


Leave a comment

Collingwood Corner: Prince Edward’s visit to Carleton school in 1919

BY LORETTA HOUBEN

With the fate of Carleton school hanging in the balance (see “Carleton School: The fight has not been won,” Renfrew-Collingwood Community News, January 2021 issue), I thought it would be good to look back at a few unknown highlights in its long history.

HRH Prince of Wales speaking on the grounds of Sir Guy Carleton Elementary School on September 23, 1919. Photo from the Vancouver Archives

The Prince of Wales, who later became King Edward VIII and who abdicated in December 1936, took a two-month tour of Canada in 1919. He ended with a visit to Vancouver in September 1919, before heading to Victoria.

He loved the West and bought a ranch in Alberta, which he kept until 1962. On his visit here, which included a dinner and dance downtown on September 22, a visit to Hastings Mill and Stanley Park, and a trip to New Westminster, he stopped at Carleton School, where thousands of people thronged the huge school yard which fronts Kingsway to hear him.

A large crowd gathered to hear HRH Prince of Wales fills Carleton’s school grounds. Photo from Vancouver Archives

Prince Edward was extremely popular, and he loved the crowds so much, his right hand was nearly shaken off. His doctor advised him to desist from hand shaking on his second day here in order to avoid injury.

Why the Prince wound up making a speech at Carleton and what he spoke about is a mystery. I’ve searched the Vancouver library archives and read about his visit at Newspapers.com online, but didn’t discover anything further.

Loretta Houben enjoys solving puzzling mysteries in the Collingwood area, where she has lived for 55 years.

Copyright 2021 Renfrew-Collingwood Community News